Bibit Siklon Tropis 93S Berpotensi Tumbuh Jadi Badai, BRIN Ingatkan Ancaman Cuaca Ekstrem di NTT

Bibit Siklon Tropis 93S Berpotensi Tumbuh Jadi Badai, BRIN Ingatkan Ancaman Cuaca Ekstrem di NTT

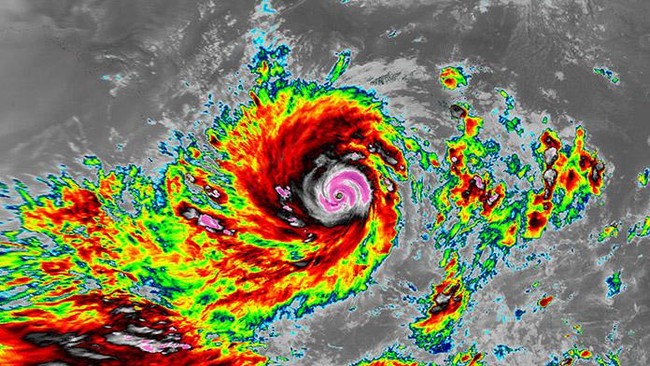
Ilustrasi. Bibit Siklon Tropis 93S terdeteksi mulai aktif di Samudra Hindia selatan Nusa Tenggara, dan berpotensi berubah menjadi badai siklon tropis dalam beberapa waktu ke depan.-dok Earthdata NASA-

HARIAN DISWAY - Bibit Siklon Tropis 93S terdeteksi aktif di Samudra Hindia selatan Nusa Tenggara dan berpotensi berkembang menjadi badai siklon tropis dalam beberapa waktu ke depan, Jumat, 12 Desember 2025.

 

Pakar klimatologi BRIN (Badan Riset dan Inovasi Nasional), Erma Yulihastin, mengingatkan bahwa sistem ini berpeluang menjadi “badai Senyar berikutnya” yang diprediksi mendarat di Nusa Tenggara Timur pada periode 1–10 Januari 2026. Prediksi tersebut berasal dari pemodelan resolusi tinggi submusiman hingga musiman yang dikembangkan melalui sistem KAMAJAYA-BRIN untuk mitigasi cuaca ekstrem.

 

Dalam unggahannya di akun X (dulu Twitter), Erma membagikan infografis yang menunjukkan potensi pertumbuhan cepat bibit badai ini menjadi siklon tropis yang dapat membawa hujan ekstrem, angin kencang, dan gelombang tinggi di wilayah timur Indonesia. Puncak risiko diperkirakan terjadi pada 11–20 Desember 2025 dan dapat berlanjut hingga awal Januari 2026.

 

Saat dikonfirmasi, Erma menjelaskan bahwa ukuran Bibit Siklon Tropis 93S relatif lebih kecil dan peluangnya berkembang menjadi siklon lebih rendah dibanding Bibit 91S di perairan dekat Sumatra. Namun, sistem ini tetap dapat memengaruhi kondisi cuaca lokal, khususnya di wilayah NTT, Kupang, dan Timor Leste.

BACA JUGA:Indonesia Waspada! BMKG Sebut Hujan Masih Dominasi Cuaca Sepekan Kedepan

BACA JUGA:BNPB Ingatkan Tata Ruang Buruk Jadi Akar Bencana Menjelang Cuaca Ekstrem Nataru

 

Menurutnya, analisis atmosfer menunjukkan dua pola pusaran yang terbentuk pada dasarian II Desember 2025 hingga dasarian I Januari 2026. Perairan barat menunjukkan konvergensi kuat di laut namun tidak berdampak langsung ke daratan, sementara perairan timur memiliki potensi badai yang lebih signifikan dan dapat berkembang menjadi tropical storm.

 

“Imbauan ini ditujukan agar pemda dan jajaran terkait di NTT mulai melakukan langkah mitigasi sejak sekarang,” ujar Erma.

 

Cek Berita dan Artikel yang lain di Google News

Sumber: